Nội dung toàn văn Quyết định 36/2015/QĐ-UBND quy định lộ giới và chỉ tiêu chủ yếu về quản lý quy hoạch xây dựng Lâm Đồng
|
ỦY BAN NHÂN DÂN |
CỘNG HÒA XÃ HỘI CHỦ NGHĨA
VIỆT NAM |
|
Số: 36/2015/QĐ-UBND |
Đà Lạt, ngày 27 tháng 04 năm 2015 |
QUYẾT ĐỊNH
BAN HÀNH QUY ĐỊNH LỘ GIỚI VÀ CÁC CHỈ TIÊU CHỦ YẾU VỀ QUẢN LÝ QUY HOẠCH, XÂY DỰNG ĐỐI VỚI NHÀ Ở VÀ CÔNG TRÌNH RIÊNG LẺ TRÊN ĐỊA BÀN CÁC PHƯỜNG THUỘC THÀNH PHỐ ĐÀ LẠT, TỈNH LÂM ĐỒNG
ỦY BAN NHÂN DÂN TỈNH LÂM ĐỒNG
Căn cứ Luật Tổ chức Hội đồng nhân dân và Ủy ban nhân dân ngày 26 tháng 11 năm 2003;
Căn cứ Luật Xây dựng ngày 26 tháng 11 năm 2003;
Căn cứ Luật Quy hoạch đô thị ngày 17 tháng 6 năm 2009;
Căn cứ Nghị định số 37/2010/NĐ-CP ngày 07 tháng 4 năm 2010 của Chính phủ về việc lập, thẩm định, phê duyệt và quản lý quy hoạch đô thị;
Căn cứ Nghị định số 64/2012/NĐ-CP ngày 04 tháng 9 năm 2012 của Chính phủ về cấp phép xây dựng;
Căn cứ Quyết định số 39/2005/QĐ-TTg ngày 28 tháng 02 năm 2005 về việc hướng dẫn thi hành điều 121 của Luật Xây dựng;
Căn cứ Quyết định số 704/QĐ-TTg ngày 12 tháng 5 năm 2014 của Thủ tướng Chính phủ về việc phê duyệt điều chỉnh Quy hoạch chung thành phố Đà Lạt và vùng phụ cận đến năm 2030 và tầm nhìn đến 2050;
Căn cứ Quyết định số 04/2008/QĐ-BXD ngày 03 tháng 4 năm 2008 của Bộ Xây dựng về việc ban hành Quy chuẩn kỹ thuật quốc gia về Quy hoạch xây dựng;
Xét đề nghị của Giám đốc Sở Xây dựng,
QUYẾT ĐỊNH
Điều 1. Ban hành kèm theo Quyết định này Quy định lộ giới và các chỉ tiêu chủ yếu về quản lý quy hoạch, xây dựng đối với nhà ở công trình riêng lẻ trên địa bàn các phường thuộc thành phố Đà Lạt, tỉnh Lâm Đồng.
Điều 2. Quyết định này có hiệu lực thi hành sau 10 ngày kể từ ngày ký ban hành và thay thế các văn bản sau:
Quyết định số 33/2003/QĐ-UB ngày 05 tháng 3 năm 2003 của Ủy ban nhân dân tỉnh về việc ban hành Quy định các chỉ tiêu chủ yếu về quản lý quy hoạch và xây dựng đối với nhà ở tư nhân trên địa bàn thành phố Đà Lạt;
Quyết định số 34/2003/QĐ-UB ngày 05 tháng 3 năm 2003 của Ủy ban nhân dân tỉnh về việc ban hành bảng Quy định chỉ giới đường đỏ (lộ giới) các trục đường trên địa bàn thành phố Đà Lạt;
Điều 27, Quyết định số 16/2003/QĐ-UB ngày 30 tháng 01 năm 2003 của Ủy ban nhân dân tỉnh về việc ban hành quy định quản lý xây dựng theo Quy hoạch chung thành phố Đà Lạt đến năm 2020.
Điều 3. Tổ chức thực hiện:
1. Ủy ban nhân dân thành phố Đà Lạt có trách nhiệm:
- Ban hành bản đồ phân vùng quản lý chỉ tiêu quy hoạch kiến trúc đối với nhà trong hẻm sau khi thỏa thuận chuyên môn với Sở Xây dựng trong thời hạn không quá 30 ngày kể từ ngày Quyết định này được ban hành.
- Tổ chức niêm yết, công bố công khai Quy định kèm theo Quyết định này bằng nhiều hình thức để các tổ chức, đơn vị và cá nhân có liên quan thực hiện.
- Tổ chức thực hiện việc quản lý quy hoạch xây dựng nhà ở, công trình riêng lẻ trên địa bàn thành phố Đà Lạt theo đúng Quy định kèm theo Quyết định này.
2. Sở Xây dựng, Sở Tài nguyên và Môi trường và các Sở, ngành liên quan có trách nhiệm phối hợp với Ủy ban nhân dân thành phố Đà Lạt trong việc tổ chức thực hiện.
Điều 4. Chánh Văn phòng Ủy ban nhân dân tỉnh; Giám đốc các Sở: Xây dựng, Tài nguyên và Môi trường, Giao thông Vận tải; Chủ tịch Ủy ban nhân dân thành phố Đà Lạt và Thủ trưởng các tổ chức, cơ quan, đơn vị và các cá nhân có liên quan căn cứ quyết định thi hành./.
|
Nơi nhận: |
TM. ỦY BAN NHÂN DÂN |
QUY ĐỊNH
LỘ GIỚI VÀ CÁC CHỈ TIÊU CHỦ YẾU VỀ QUẢN LÝ QUY HOẠCH, XÂY DỰNG ĐỐI VỚI NHÀ Ở, CÔNG TRÌNH RIÊNG LẺ TRÊN ĐỊA BÀN CÁC PHƯỜNG THUỘC THÀNH PHỐ ĐÀ LẠT, TỈNH LÂM ĐỒNG
(Ban hành kèm theo Quyết định số 36/2015/QĐ-UBND ngày 27 tháng 4 năm 2015 của Ủy ban nhân dân tỉnh Lâm Đồng)
Chương I
NHỮNG QUY ĐỊNH CHUNG
Điều 1. Phạm vi áp dụng
1. Quy định lộ giới và các chỉ tiêu chủ yếu về quản lý quy hoạch, xây dựng đối với nhà ở, công trình riêng lẻ trên địa bàn các phường thuộc thành phố Đà Lạt là những quy định bắt buộc phải tuân thủ trong quá trình lập hồ sơ xin phép xây dựng, cấp giấy phép xây dựng và quản lý xây dựng sau khi cấp phép.
2. Đối với các khu vực đã có đồ án quy hoạch phân khu, quy hoạch chi tiết, thiết kế đô thị được duyệt thì áp dụng các chỉ tiêu quy hoạch kiến trúc theo các đồ án đó.
Điều 2. Đối tượng áp dụng
1. Các công trình do tổ chức, hộ gia đình, cá nhân xây dựng, bao gồm nhà ở riêng lẻ, nhà ở kết hợp thương mại - dịch vụ - du lịch và các công trình xây dựng riêng lẻ trên đất ở.
2. Công trình riêng lẻ áp dụng theo quy định này bao gồm: Các công trình có diện tích xây dựng nhỏ hơn 300m2 và chiều ngang công trình nhỏ hơn 12m (đối với khu quy định nhà liên kế có sân vườn, nhà phố) hoặc công trình có diện tích xây dựng nhỏ hơn 400m2 và chiều ngang công trình nhỏ hơn 16m (đối với khu vực quy định nhà biệt thự, biệt lập, song lập).
3. Đối với công trình riêng lẻ khác có quy mô lớn hơn quy mô trên mà có chỉ tiêu kiến trúc lớn hơn quy định tại Khoản 2 Điều này hoặc xây dựng trên đất phi nông nghiệp thì cơ quan có thẩm quyền cấp giấy phép xây dựng phải trình Ủy ban nhân dân tỉnh xem xét chấp thuận các chỉ tiêu quy hoạch kiến trúc từng trường hợp cụ thể.
Điều 3. Giải thích từ ngữ
1. Nhà ở kết hợp thương mại - dịch vụ - du lịch là nhà ở riêng lẻ có kết hợp sử dụng vào mục đích thương mại - dịch vụ - du lịch (cơ sở lưu trú, nhà hàng, văn phòng, cửa hàng,...).
2. Nhà biệt thự tiêu chuẩn (nhà biệt lập ) là nhà xây dựng riêng lẻ có lối đi riêng và các mặt đứng cách ranh đất tối thiểu một khoảng theo quy định.
3. Tầng bán hầm là tầng nằm dưới cao trình nền tầng trệt và có ít nhất một mặt đứng không tiếp giáp với đất hoặc kè chắn đất (mặt thoáng).
4. Số tầng cao: số tầng được tính từ cao trình nền tầng trệt, kể cả tầng lửng, tầng áp mái (nếu có).
5. Tầng áp mái: Tầng nằm bên trong không gian của mái dốc mà toàn bộ hoặc một phần mặt đứng của nó được tạo bởi bề mặt mái nghiêng hoặc mái gấp, trong đó tường đứng (nếu có), không cao quá mặt sàn 1,5m.
Chương II
QUY ĐỊNH VỀ LÔ ĐẤT XÂY DỰNG CÔNG TRÌNH
Điều 4. Quản lý quy hoạch trong việc giao đất, chuyển mục đích sử dụng đất và chuyển quyền sử dụng đất đối với lô (thửa) đất mới
1. Lô đất xây dựng nhà ở thuộc các đường có tên trong phụ lục 1 và các đường, đường hẻm có lộ giới lớn hơn hoặc bằng 10m theo Bảng 1, cụ thể:
Bảng 1:
|
STT |
Loại nhà ở |
Chiều ngang tối thiểu của lô đất |
Diện tích tối thiểu của lô đất |
|
1 |
Biệt thự |
14,0m |
400m2 |
|
2 |
Biệt thự tiêu chuẩn (nhà biệt lập) |
12,0m |
2 50m2 |
|
3 |
Nhà song lập |
2 x 10,0m |
2 x 140m2 |
|
4 |
Nhà liên kế có sân vườn |
4,5m |
72m2 |
|
5 |
Nhà phố |
4,0m |
40m2 |
2. Lô đất xây dựng nhà ở thuộc các đường, đường hẻm có lộ giới nhỏ hơn 10m thì cho phép giảm diện tích và kích thước tối thiểu của lô đất theo Bảng 2, cụ thể:
Bảng 2:
|
STT |
Loại nhà ở |
Chiều ngang tối thiểu của lô đất |
Diện tích tối thiểu của lô đất |
|
1 |
Biệt thự tiêu chuẩn (nhà biệt lập) |
10,0m |
200m2 |
|
2 |
Nhà song lập |
2 x 8,0m |
2 x 112m2 |
|
3 |
Nhà liên kế có sân vườn |
4,0m |
64m2 |
|
4 |
Nhà phố |
3,3m |
40m2 |
Chương III
QUY ĐỊNH VỀ KIẾN TRÚC, XÂY DỰNG CÔNG TRÌNH
Điều 5. Quy định về mật độ xây dựng
Mật độ xây dựng được xác định cụ thể trong Bảng 3
Bảng 3:
|
STT |
Loại nhà ở |
Mật độ xây dựng tối đa trên diện tích lô đất ở |
|
1 |
Biệt thự |
30% |
|
2 |
Biệt thự tiêu chuẩn (nhà biệt lập) |
50% |
|
3 |
Nhà song lập |
50% |
|
4 |
Nhà liên kế có sân vườn |
80% |
|
5 |
Nhà phố |
90% - 100% |
Điều 6. Quy định về dạng kiến trúc, khoảng lùi và tầng cao nhà
1. Đối với nhà xây dựng thuộc mặt tiền các đường có tên trong Phụ lục 1 (quy định về lộ giới, dạng kiến trúc, khoảng lùi, tầng cao theo tên đường) thì các chỉ tiêu tuân thủ theo Phụ lục 1. Trong khu vực quy định xây dựng nhà biệt lập, có thể xem xét cho phép xây dựng nhà song lập với điều kiện đảm bảo quy định tại Bảng 1, Bảng 2.
2. Đối với nhà biệt thự, biệt thự tiêu chuẩn (nhà biệt lập) xây dựng mới, nâng cấp trên lô đất quy định tại Bảng 1 đảm bảo diện tích, kích thước chiều ngang lô đất thì khoảng cách từ mép công trình đến ranh đất bên hông và phía sau tối thiểu 2,0m.
3. Đối với nhà biệt thự, biệt thự tiêu chuẩn (nhà biệt lập) cải tạo, sửa chữa trên lô đất quy định tại Bảng 1, xây dựng mới, nâng cấp, cải tạo, sửa chữa trên lô đất thuộc quy định tại Bảng 2 đảm bảo diện tích, kích thước chiều ngang lô đất thì khoảng cách từ mép công trình đến ranh đất bên hông và phía sau tối thiểu 1,0m.
4. Đối với nhà liên kế có sân vườn tại các khu quy hoạch mới thì khoảng cách từ mép công trình đến ranh đất phía sau tối thiểu 2,0m. Đối với các khu ở hiện trạng khuyến khích có khoảng cách phía sau.
5. Đối với nhà xây dựng trong các đường hẻm, đường chưa có tên trong Phụ lục 1 (quy định về lộ giới, dạng kiến trúc, khoảng lùi, tầng cao theo tên đường) thì khoảng lùi và tầng cao thực hiện theo Bảng 4.
Bảng 4:
|
STT |
Loại nhà ở |
Lộ giới (đường, đường hẻm) |
Khoảng lùi |
Tầng cao tối đa cho phép |
|
1 |
Nhà biệt thự, biệt thự tiêu chuẩn (biệt lập), song lập |
Lộ giới ³ 12m |
4,5m |
3 tầng |
|
Lộ giới <> |
3,0m |
2 tầng |
||
|
2 |
Nhà liên kế có sân vườn |
Lộ giới ³ 14m |
2,4m |
4 tầng |
|
14m > Lộ giới ³ 4m |
2,4m |
3 tầng |
||
|
Lộ giới <> |
2,4m |
2 tầng |
||
|
3 |
Nhà phố |
Lộ giới ³ 14m |
0,0m |
4 tầng |
|
14m > Lộ giới ³ 4m |
0,0m |
3 tầng |
||
|
Lộ giới <> |
0,0m |
2 tầng |
Điều 7. Quy định chiều cao từng tầng nhà
Chiều cao từng tầng được tính từ mặt sàn tầng dưới đến mặt sàn tầng trên được quy định trong Bảng 5.
Bảng 5:
|
STT |
Loại nhà ở |
Chiều cao từng tầng nhà (m) |
||
|
Bán hầm |
Trệt |
Lầu |
||
|
1 |
Biệt thự |
£ 3,6 |
£ 4,5 |
£ 3,6 |
|
2 |
Biệt thự tiêu chuẩn (nhà biệt lập) |
|||
|
3 |
Nhà song lập |
|||
|
4 |
Nhà liên kế có sân vườn |
£ 4,0 |
||
|
5 |
Nhà phố |
|||
Điều 8. Quy định cao trình nền tầng trệt, tầng hầm và tầng bán hầm
1. Trường hợp vị trí nhà xây dựng nằm trên lô đất bằng phẳng và có cao trình nền chênh lệch với cao trình đường, đường hẻm không quá 1m thì quy định cao trình nền tầng trệt và số tầng hầm như sau:
- Đối với khu vực quy định nhà biệt thự, biệt thự tiêu chuẩn (nhà biệt lập): Cao trình nền tầng trệt chênh lệch không quá 1m so với cao trình đường, đường hẻm (hình số 1, 2 Phụ lục 2).
- Đối với khu vực quy định nhà liên kế có sân vườn, nhà phố: Cao trình nền tầng trệt bình quân cao +0,3 m so với cao trình vỉa hè đường, đường hẻm và lối đi chung và được phép xây dựng tầng hầm. Trường hợp có đường dẫn xuống hầm thì cao trình nền tầng trệt cao tối đa + 1,0m so với vỉa hè đường, đường hẻm và đường dẫn không được vi phạm chỉ giới đường đỏ.
2. Trường hợp vị trí nhà xây dựng nằm phía ta luy dương thì quy định cao trình nền tầng trệt như sau:
- Đối với khu vực quy định nhà biệt thự, biệt thự tiêu chuẩn (nhà biệt lập):
+ Khi nhà xây dựng nằm trên lô đất diện tích lớn đủ điều kiện làm đường dẫn từ đường, đường hẻm vào nhà thì cao trình nền tầng trệt tính từ cao trình đường dẫn (hình số 3 Phụ lục 2)
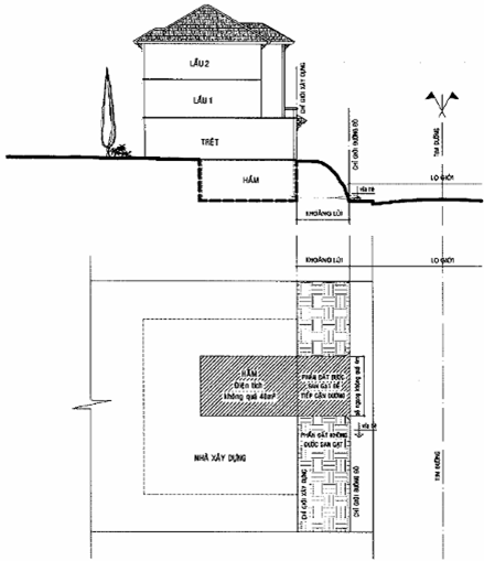
+ Khi nhà xây dựng nằm trên lô đất diện tích nhỏ không thể làm đường dẫn từ đường, đường hẻm vào nhà thì cao trình nền tầng trệt phải tôn trọng địa hình đất tự nhiên, chỉ san gạt cục bộ. Trường hợp chênh lệch địa hình giữa cao trình nền tầng trệt với đường, đường hẻm thì cho phép xây dựng 01 tầng hầm để tiếp cận đường, đường hẻm và làm chỗ đậu xe với quy mô như sau: diện tích tầng hầm không vượt quá phạm vi công trình và bề rộng cửa hầm phía giáp đường, đường hẻm không quá 4m (hình số 4 Phụ lục 2).
- Đối với khu vực quy định nhà liên kế có sân vườn, nhà phố thì cho phép san gạt để cao trình nền tầng trệt cao trung bình +0,3m so với cao trình vỉa hè đường, đường hẻm và lối đi chung.
3. Trường hợp vị trí nhà xây dựng nằm phía ta luy âm thì quy định cao trình nền tầng trệt và số tầng bán hầm như sau:
- Đối với khu vực quy định nhà biệt thự, biệt thự tiêu chuẩn (nhà biệt lập): khi nhà xây dựng nằm trên lô đất lớn đủ điều kiện làm đường dẫn từ đường, đường hẻm vào nhà thì cao trình nền tầng trệt tính từ cao trình đường dẫn và được phép xây dựng 01 tầng bán hầm (hình số 5 phụ lục 2).
- Đối với khu vực quy định nhà biệt thự, biệt lập: khi nhà xây dựng nằm trên lô đất nhỏ không thể làm đường dẫn vào nhà thì số tầng bán hầm và cao trình nền tầng trệt quy định như sau:
+ Khi độ dốc từ đầu đến cuối lô đất từ 15% đến dưới 30% hoặc lô đất thấp hơn đường, đường hẻm từ 1 đến dưới 3m thì cao trình nền tầng trệt không quá +1,0m so với cao trình đường, đường hẻm và được phép xây dựng 01 tầng bán hầm (hình số 6 Phụ lục 2);
+ Khi độ dốc từ đầu đến cuối lô đất từ 30% trở lên hoặc lô đất thấp hơn đường, đường hẻm trên 3m thì phương án thiết kế (xác định cao trình nền tầng trệt, số tầng bán hầm), giải pháp kỹ thuật (san gạt, xử lý kè chắn đất) phải được cơ quan có thẩm quyền cấp phép xem xét, chấp thuận theo nguyên tắc không làm ảnh hưởng, phá vỡ cảnh quan kiến trúc của khu vực và giải quyết cấp phép xây dựng theo quy định;
- Đối với khu vực quy định nhà liên kế có sân vườn, nhà phố cao trình nền tầng trệt bình quân +0,3 m so với cao trình vỉa hè đường, đường hẻm. Trường hợp có đường dẫn xuống hầm thì cao trình nền tầng trệt cao tối đa +1,0m so với vỉa hè đường, đường hẻm và đường dẫn không được vi phạm chỉ giới đường đỏ (hình số 7, 8 Phụ lục 2);
4. Nhà biệt thự, biệt thự tiêu chuẩn (nhà biệt lập) có xây dựng tầng bán hầm hồ sơ xin phép xây dựng phải xử lý mái nhà để mặt đứng sau nhà chỉ có tối đa 03 tầng. Tổng số tầng nhà không quá 04 tầng kể cả tầng bán hầm, tầng áp mái.
5. Nhà liên kế có sân vườn, nhà phố có xây dựng tầng bán hầm phải có giải pháp xử lý mái nhà để mặt đứng sau nhà giảm đi 01 tầng.
6. Nhà biệt thự, biệt thự tiêu chuẩn (nhà biệt lập), song lập xây dựng trên địa hình dốc, nằm tại vị trí ta luy âm hoặc dương, phải bạt mái ta luy và làm kè chắn đất, chiều cao mỗi bậc kè không quá 4,0m, từ tường ngoài nhà đến kè chắn và giữa các bậc kè phải có khoảng trống để trồng hoa, cây xanh. Nhà liên kế có sân vườn, nhà phố có thể kết hợp kết cấu kè vào kết cấu của ngôi nhà.
Điều 9. Quy định về hình thức mái công trình
1. Tất cả các loại nhà ở riêng lẻ trên địa bàn thành phố Đà Lạt khi xây dựng mới hoặc cải tạo, sửa chữa, mở rộng phải làm mái dốc và sử dụng vật liệu lợp mái phù hợp.
2. Mái dốc phải đảm bảo tiêu chuẩn kỹ thuật thoát nước đối với từng loại vật liệu lợp mái.
Chương IV
CÁC QUY ĐỊNH KHÁC
Điều 10. Quy định về chỉ tiêu kiến trúc đối với nhà trong hẻm
Công trình xây dựng trong hẻm thuộc đường, đoạn đường nào (theo Phụ lục 1) thì áp dụng theo dạng kiến trúc cho phép xây dựng đối với đường, đoạn đường đó.
Trường hợp công trình trong hẻm thông qua hai hoặc nhiều đường (thuộc Phụ lục 1) có chỉ tiêu quy hoạch kiến trúc khác nhau, thì chỉ tiêu quy hoạch kiến trúc xây dựng nhà trong hẻm theo bản đồ phân vùng quản lý chỉ tiêu kiến trúc nhà trong hẻm được thể hiện trên bản vẽ hệ thống giao thông đô thị (do Ủy ban nhân dân thành phố Đà Lạt ban hành sau khi thỏa thuận về chuyên môn với Sở Xây dựng).
Điều 11. Quy định về chỉ tiêu xây dựng các lô đất không đủ tiêu chuẩn
1. Đối với các trường hợp đất ở, nhà ở trong các khu ở hiện trạng đã có giấy tờ hợp pháp (trước thời điểm quy định này có hiệu lực thi hành) nhưng không đảm bảo diện tích, kích thước theo quy định tại Bảng 1 và Bảng 2 Điều 4:
a) Đối với khu vực được xác định chỉ tiêu quy hoạch kiến trúc là nhà biệt thự, biệt lập nhưng lô đất không đủ tiêu chuẩn theo quy định thì cho phép xây dựng với chi tiêu quản lý quy hoạch kiến trúc như sau:
- Tầng cao: 02 tầng (01 trệt và 01 tầng áp mái, không kể 01 tầng bán hầm do chênh lệch địa hình).
- Trường hợp lô đất có chiều ngang nhỏ hơn 6m thì cho phép xây dựng hết chiều ngang lô đất.
- Trường hợp lô đất có chiều ngang từ 6m đến nhỏ hơn 8m thì cho phép xây dựng cách ranh đất mỗi bên theo chiều ngang từ 0m đến 1 m, đảm bảo chiều ngang nhà là 6m.
- Trường hợp lô đất có chiều ngang từ 8m đến nhỏ hơn 10m thì cho phép xây dựng cách ranh đất mỗi bên theo chiều ngang từ 1m đến 2m, đảm bảo chiều ngang nhà là 6m.
- Chỉ giới xây dựng (Khoảng lùi) theo quy định của đường, hẻm đó.
- Mật độ xây dựng theo quy định của nhà biệt thự, biệt lập.
Trường hợp các dãy nhà ở hiện trạng trong đường hẻm có ít nhất 3 nhà ở liền kề (liên kế có sân vườn, nhà phố) không đủ tiêu chuẩn về diện tích, kích thước chiều ngang để xây dựng nhà biệt thự tiêu chẩn (nhà biệt lập), song lập thì cơ quan cấp phép xây dựng xem xét cho xây dựng dạng nhà liên kế có sân vườn có tầng cao quy định tại khu vực; khoảng lùi đảm bảo theo quy định của con đường, đoạn đường đó.
b) Đối với khu vực được xác định chỉ tiêu quy hoạch kiến trúc là nhà liên kế có sân vườn, nhà phố nhưng lô đất không đủ tiêu chuẩn theo quy định thì xây dựng với chỉ tiêu quản lý quy hoạch kiến trúc sau:
- Lô đất có diện tích nhỏ hơn 15 m2 có chiều rộng mặt tiền hoặc chiều sâu so với chỉ giới xây dựng nhỏ hơn 3 m thì không được phép xây dựng.
- Lô đất có diện tích đất từ 15 m2 đến nhỏ hơn 40 m2 có chiều rộng mặt tiền từ 3 m trở lên và chiều sâu so với chỉ giới xây dựng từ 3 m trở lên thì được phép xây dựng không quá 2 tầng.
- Lô đất có chiều ngang xây dựng nhà liên kế sân vườn từ 3m đến nhỏ hơn 4,5m và có diện tích từ 40 m2 đến nhỏ hơn 72m2 thì xây dựng theo quy định của đường, hẻm đó.
- Lô đất có chiều ngang xây dựng nhà phố từ 3m đến nhỏ hơn 4,0m và có diện tích từ 40 m2 đến nhỏ hơn 64m2 thì xây dựng theo quy định của đường, hẻm đó.
2. Đối với nhà phố nằm tại các đường hẻm có lộ giới nhỏ hơn 7m, không được xây dựng ban công ngoài lộ giới.
3. Trường hợp nhà nằm ngay góc giao của hai đường hoặc đường và hẻm hoặc hai hẻm có quy định lộ giới (chỉ giới) thì nhà xây dựng phải tuân thủ khoảng lùi quy định của cả đường và hẻm.
Điều 12. Xử lý các trường hợp áp dụng chuyển tiếp
1. Đối với hồ sơ xin phép xây dựng đã nộp và hết hạn giải quyết hồ sơ trước ngày Quy định này có hiệu lực thi hành thì thực hiện theo Quy định chỉ tiêu quản lý nhà ở riêng lẻ trên địa bàn thành phố Đà Lạt đã được Ủy ban nhân dân tỉnh ban hành kèm theo Quyết định số 33/2003/QĐ-UBND ngày 06/3/2003; các trường hợp còn thời gian giải quyết thực hiện theo quy định này.
2. Đối với các trường hợp gia hạn Giấy phép xây dựng nhưng chỉ tiêu quy hoạch kiến trúc vượt so với quy định này thì phải lập hồ sơ xin phép xây dựng mới phù hợp với quy định này và các quy định hiện hành khác./.
PHỤ LỤC I
QUY ĐỊNH VỀ LỘ GIỚI, DẠNG KIẾN
TRÚC, KHOẢNG LÙI VÀ TẦNG CAO THEO TÊN ĐƯỜNG
Ban hành kèm theo
Quyết định số 36/2015/QĐ-UBND ngày 27 tháng 4 năm 2015 của Ủy ban nhân dân tỉnh
|
STT |
Tên đường |
Điểm đầu |
Điểm cuối |
Chiều dài (m) |
Lộ giới |
Dạng kiến trúc |
Khoảng lùi (m) |
Tầng cao (tầng) |
Ghi chú |
|
1 |
An Bình |
Ngã ba Đống Đa - Hà Huy Tập |
Triệu Việt Vương |
1.248 |
16,0 |
Biệt lập |
3,0 |
3,0 |
|
|
2 |
An Dương Vương |
Phan Đình Phùng |
Ngã ba Cổ Loa-Thông Thiên Học |
640 |
14,0 |
Liên kế có sân vườn |
2,4 |
3,0 |
|
|
3 |
An Tôn |
Hoàng Văn Thụ |
Y Dinh |
700 |
24,0 |
Biệt lập |
4,5 |
3,0 |
|
|
Y Dinh |
Cuối đường |
|
16,0 |
Biệt lập |
3,0 |
3,0 |
|||
|
4 |
An Sơn |
Triệu Việt Vương |
Ngã ba quy hoạch đường vành đai ngoài |
1.900 |
16,0 |
Biệt lập |
3,0 |
3,0 |
|
|
Ngã ba quy hoạch đường vành đai ngoài |
Huyền Trân Công Chúa (cổng nghĩa trang Du Sinh) |
1.100 |
20,0 |
Biệt lập |
3,0 |
3,0 |
|||
|
5 |
Ankroet |
Xô Viết Nghệ Tĩnh |
Suối vàng - Đankia |
11.000 |
24,0 |
Biệt lập |
6,0 |
3,0 |
|
|
6 |
Ánh Sáng |
Lê Đại Hành |
Nguyễn Văn Cừ |
325 |
20,0 |
Theo QHCT Khu TTTM Ánh Sáng |
|
||
|
7 |
Ba Tháng Hai |
|
Phan Đình Phùng |
860 |
14 đến 16 |
Nhà phố |
0,0 |
5,0 |
Lộ giới theo ranh đất hợp pháp hiện trạng |
|
Phan Đình Phùng |
Cầu Ba Tháng Hai |
|
20,0 |
Nhà phố |
0,0 |
5,0 |
|
||
|
Cầu Ba Tháng Hai |
Nút giao Trần Phú - Hoàng Văn Thụ - Trần Lê |
|
20,0 |
Liên kế có sân vườn |
3,0 |
3,0 |
|
||
|
8 |
Ba Tháng Tư |
Nút giao Trần Hưng Đạo - Hồ Tùng Mậu |
Đống Đa |
1.300 |
27,0 |
Biệt lập |
6,0 |
3,0 |
|
|
9 |
Bạch Đằng |
Ngô Quyền |
Nguyễn Siêu |
1.300 |
16,0 |
Biệt lập |
3,0 |
3,0 |
|
|
10 |
Bà Triệu |
Cầu Bá Hộ Chúc (cầu Bà Triệu) |
Trần Phú |
300 |
18,0 |
Nhà phô |
0,0 |
4,0 |
|
|
11 |
Bế Văn Đàn |
Thái Phiên |
Hẻm sau lưng chợ Thái Phiên |
580 |
10,0 |
Liên kế có sân vườn |
3,0 |
3,0 |
|
|
Hẻm sau lưng chợ Thái Phiên |
Nguyễn Hữu Cầu |
|
10,0 |
Biệt lập |
3,0 |
2,0 |
|||
|
12 |
Bùi Thị Xuân |
Trần Quốc Toản (hồ Đội Có) |
Thông Thiên Học |
1.630 |
20,0 |
Liên kế có sân vườn |
2,4 |
5,0 |
|
|
Thông Thiên Học |
Ngã 5 Đại Học |
|
20,0 |
Nhà phố |
0,0 |
4,0 |
|||
|
13 |
Cam Ly |
Ngã ba Hoàng Văn Thụ - Trần Văn Côi |
Ankroet |
7.180 |
20,0 |
Biệt lập |
4,5 |
3,0 |
|
|
14 |
Cao Bá Quát |
Hai Bà Trưng |
Xô Viết Nghệ Tĩnh |
1.000 |
16,0 |
Biệt lập |
3,0 |
3,0 |
|
|
15 |
Cao Thắng |
Ngô Quyền |
Cuối đường |
1.750 |
16,0 |
Biệt lập |
3,0 |
3,0 |
|
|
16 |
Cách Mạng Tháng Tám |
Nút giao Trần Quốc Toản-Nguyên Tử Lực |
Cù Chính Lan |
3.020 |
16,0 |
Biệt lập |
3,0 |
3,0 |
|
|
17 |
Châu Văn Liêm |
Thánh Mẫu (ngã 3 nghĩa trang) |
Ngã 3 Nguyễn Hoàng - Châu Văn Liêm |
1.590 |
14,0 |
Biệt lập |
3,0 |
3,0 |
|
|
18 |
Chu Văn An |
Trần Hưng Đạo |
Hồ Tùng Mậu |
350 |
14,0 |
Liên kế có sân vườn |
3,0 |
2,0 |
|
|
19 |
Cô Bắc |
Quang Trung |
Cô Giang |
350 |
14,0 |
Biệt lập |
3,0 |
3,0 |
|
|
20 |
Cô Giang |
Quang Trung |
Quang Trung |
600 |
14,0 |
Biệt lập |
3,0 |
3,0 |
|
|
21 |
Cổ Loa |
An Dương Vương |
Thông Thiên Học |
970 |
14,0 |
Liên kế có sân vườn |
2,4 |
3,0 |
|
|
22 |
Công Chúa Ngọc Hân |
Thánh Mẫu |
Nguyễn Hoàng |
970 |
14,0 |
Biệt lập |
3,0 |
3,0 |
|
|
23 |
Cù Chính Lan |
Nguyên Tử Lực |
Vòng Lâm Viên |
1.360 |
16,0 |
Biệt lập |
3,0 |
3,0 |
|
|
24 |
Đa Minh |
Huyền Trân Công Chúa |
Gio An |
300 |
10,0 |
Liên kế có sân vườn |
2,4 |
3,0 |
|
|
25 |
Đa Phú |
Ankroet (ngã 3 Kim Thạch) |
Ankroet (ngã 3 Hố Hồng) |
1.800 |
12,0 |
Biệt lập |
3,0 |
3,0 |
|
|
26 |
Đặng Thái Thân |
Ba tháng Tư (Cục Hải Quan Đà Lạt) |
Ba tháng Tư |
928 |
12,0 |
Biệt lập |
3,0 |
3,0 |
|
|
Đặng Thái Thân (đường vào công ty Apex) |
Đặng Thái Thân (Lô C1 Khu QH Đặng Thái Thân) |
Công công ty APEX |
400 |
12,0 |
Liên kế có sân vườn |
3,0 |
3,0 |
||
|
|
Cổng công ty APEX |
Hết đường vòng công ty Apex |
|
12,0 |
Biệt lập |
3,0 |
3,0 |
||
|
27 |
Đankia |
Xô Viết Nghệ Tĩnh |
Cầu Phước Thành |
4.000 |
20,0 |
Biệt lập |
4,5 |
3,0 |
|
|
28 |
Dã Tượng |
Yết Kiêu |
Hàn Thuyên |
150 |
16,0 |
Biệt lập |
3,0 |
3,0 |
|
|
29 |
Đào Duy Từ |
Trần Phú |
Cuối trường TH kinh tế kỹ thuật Lâm Đồng |
480 |
12,0 |
Nhà phố |
0,0 |
3,0 |
|
|
|
Cuối trường TH kinh tế kỹ thuật Lâm Đồng |
Suối Cát |
|
12,0 |
Liên kế có sân vườn |
2,4 |
3,0 |
||
|
30 |
Đinh Công Tráng |
Bạch Đằng |
Nguyễn Siêu |
780 |
14,0 |
Biệt lập |
3,0 |
3,0 |
|
|
31 |
Đinh Tiên Hoàng |
Trần Quốc Toản |
Đến hết thửa số 20 |
1.900 |
20,0 |
Biệt lập |
4,5 |
3,0 |
|
|
Từ sau thửa số 20 |
Bùi Thị Xuân |
|
20,0 |
Liên kế có sân vườn |
2,4 |
4,0 |
|||
|
32 |
Đống Đa |
Ba Tháng Tư |
Ngã ba An Bình - Hà Huy Tập |
2.000 |
16,0 |
Biệt lập |
3,0 |
3,0 |
|
|
33 |
Đồng Tâm |
Hoàng Văn Thụ |
Cuối đường |
619 |
10,0 |
Liên kế có sân vườn |
2,4 |
4,0 |
|
|
34 |
Đoàn Thị Điểm |
Bà Triệu |
UBND phường 4 |
500 |
14,0 |
Trái:
Nhà phố |
0,0 |
3,0 |
|
|
|
UBND phường 4 |
Trần Phú |
|
14,0 |
Trái: Nhà phố |
0,0 |
3,0 |
||
|
35 |
Gio An |
Hoàng Văn Thụ |
Mẫu Tâm |
650 |
10,0 |
Biệt lập |
3,0 |
3,0 |
|
|
36 |
Hai Bà Trưng |
Hải Thượng |
Trái: giáp Công an P6 |
2.850 |
20,0 |
Nhà phố |
0,0 |
5,0 |
|
|
Trái: Công an P6 |
Nhánh N 1 (đối diện trường Lê Lợi) |
20,0 |
Trái: Liên kế có sân vườn |
4,5 |
4,0 |
||||
|
Nhánh N1 |
Hẻm cạnh thửa số 126 |
20,0 |
Trái: Biệt lập |
4,5 |
3,0 |
||||
|
Hẻm cạnh thửa 126 |
Giáp chùa Linh Quang |
20,0 |
Liên kế có sân vườn |
2,4 |
4,0 |
||||
|
Từ chùa Linh Quang |
Ngô Quyền |
20,0 |
Biệt lập |
4,5 |
3,0 |
||||
|
37 |
Hà Huy Tập |
Trần Phú |
Lương Thế Vinh |
810 |
18,0 |
Nhà phố |
0,0 |
4,0 |
|
|
Lương Thế Vinh |
Ngã ba An Bình - Đống Đa |
16,0 |
Biệt lập |
3,0 |
3,0 |
||||
|
38 |
Hàn Thuyên |
Trần Bình Trọng |
Yết Kiêu |
1.300 |
16,0 |
Biệt lập |
3,0 |
3,0 |
|
|
39 |
Hải Thượng |
Ba Tháng Hai |
Nút giao Hải Thượng - Hoàng Diệu |
420 |
25,0 |
Nhà phố |
0,0 |
5,0 |
Lệch tâm (trái 10m, phải 15,0m) |
|
Nút giao Hải Thượng - Hoàng Diệu |
Nút giao Phạm Ngọc Thạch - Trần Bình Trọng (thửa 111) |
17,5 |
Nhà phố |
0,0 |
4,0 |
Lệch tâm (trái 10m, phải 7,5m) |
|||
|
40 |
Hồ Tùng Mậu |
Trần Phú |
Nút giao thông Thủy Tạ |
1.300 |
16,0 |
Liên kế có sân vườn |
2,4 |
3,0 |
|
|
Nút giao thông Thủy Tạ |
Trái: Ba Tháng Tư |
27,0 |
Biệt lập |
6,0 |
Trái: 3,0 |
|
|||
|
Phải: Thửa số 1 |
Phải: Thửa số 24 |
|
27,0 |
Liên kế có sân vườn |
6,0 |
2,0 |
|
||
|
Phải: Thửa số 24 |
Phải: Ba Tháng Tư |
|
27,0 |
Biệt lập |
6,0 |
2,0 |
|
||
|
41 |
Hồ Xuân Hương |
Nút giao Phan Chu Trinh - Chi Lăng |
Nút giao Mê Linh - Ngô Gia Tự - Vòng Lâm Viên |
2.050 |
20,0 |
Biệt lập |
4,5 |
3,0 |
|
|
42 |
Hoàng Diệu |
Nút giao Hai Bà Trưng - Hải Thượng |
Nút giao Hoàng Diệu - Trần Nhật Duật |
1.300 |
16,0 |
Liên kế có sân vườn |
2,4 |
3,0 |
|
|
Nút giao Hoàng Diệu - Trần Nhật Duật |
Lê Lai (cổng Đài tưởng niệm Cam Ly) |
16,0 |
Biệt lập |
3,0 |
3,0 |
||||
|
43 |
Hoàng Hoa Thám |
Hùng Vương |
Cuối đường |
1.600 |
14,0 |
Biệt lập |
3,0 |
3,0 |
|
|
44 |
Hoàng Văn Thụ |
Nút giao Trần Phú - Trần Lê - Ba Tháng Hai |
Đến Công an phường 4 |
3.850 |
20,0 |
Biệt lập |
4,5 |
3,0 |
|
|
Từ sau Công an phường 4 |
Trái: Huyền Trân Công Chúa |
20,0 |
Liên kế có sân vườn |
4,5 |
3,0 |
||||
|
Trái:
Huyền Trân Công Chúa |
Ngã ba Cam Ly - Trần Văn Côi |
20,0 |
Biệt lập |
4,5 |
3,0 |
||||
|
45 |
Hùng Vương |
Nút giao Trần Hưng Đạo - Khe sanh |
Ngã ba Nam Hồ - Quốc Lộ 20 |
2.000 |
27,0 |
Biệt lập |
6,0 |
3,0 |
|
|
46 |
Huyền Trân Công Chúa |
Hoàng Văn Thụ |
Đường Mẫu Tâm |
1.650 |
16,0 |
Trái:
Liên kế có sân vườn |
2,4 |
3,0 |
|
|
Đường Mẫu Tâm |
Cổng nghĩa trang Du Sinh |
16,0 |
Biệt lập |
3,0 |
3,0 |
||||
|
47 |
Huỳnh Tấn Phát |
Quốc lộ 20 (Km238 + 800) |
Đường vào khu quy hoạch Trung tâm giao dịch hoa (Cổng tổng kho lương thực) |
2.100 |
27,0 |
Liên kế có sân vườn |
3,0 |
3,0 |
Tỉnh lộ ĐT 723 |
|
Đường vào khu quy hoạch Trung tâm giao dịch hoa |
Tỉnh lộ 723 |
27,0 |
Biệt lập |
3,0 |
3,0 |
Tỉnh lộ ĐT 723 |
|||
|
Tỉnh lộ 723 |
Cuối đường |
10,0 |
Biệt lập |
3,0 |
2,0 |
Đường Huỳnh Tấn Phát cũ (vào khu di cư Lèo) |
|||
|
48 |
Huỳnh Thúc Kháng |
Lê Hồng Phong |
Pasteur |
550 |
14,0 |
Biệt lập |
3,0 |
3,0 |
|
|
49 |
Khe Sanh |
Hùng Vương |
Bảo Quang Tự |
1.438 |
27,0 |
Biệt lập |
6,0 |
3,0 |
Lệch tâm (Trái: 17,0m; phải 10,0m) |
|
Bảo Quang Tự |
Thiên Vương Cổ Sát |
27,0 |
Biệt lập |
6,0 |
3,0 |
|
|||
|
50 |
Khởi Nghĩa Bắc Sơn |
Nút giao Trần Hưng Đạo - Ba Tháng Tư |
Trần Hưng Đạo |
1.000 |
16,0 |
Biệt lập |
4,5 |
3,0 |
|
|
51 |
Khu Chi Lăng |
Nút giao Phan Chu Trinh - Hồ Xuân Hương |
Nút giao Ngô Văn Sở - Mê Linh - Lý Thường Kiệt |
150 |
- |
Nhà phố |
0,0 |
4,0 |
Lộ giới theo ranh đất hợp pháp hiện trạng |
|
52 |
Khu Hòa Bình |
Lê Đại Hành |
Nguyễn Chí Thanh |
520 |
- |
Nhà phố |
0,0 |
5,0 |
|
|
53 |
Kim Đồng |
Ngô Quyền |
Ngã ba lên chùa Liên Trì |
1.200 |
10,0 |
Liên kế có sân vườn |
3,0 |
3,0 |
|
|
Ngã ba lên chùa Liên Trì |
Suối Cam Ly |
10,0 |
Biệt lập |
3,0 |
2,0 |
||||
|
54 |
Kim Thạch |
Ankroet |
Trần Văn Côi |
760 |
20,0 |
Biệt lập |
6,0 |
3,0 |
|
|
55 |
Ký Con |
Nguyễn Du |
Phó Đức Chính |
100 |
14,0 |
Biệt thự |
6,0 |
3,0 |
|
|
56 |
La Sơn Phu Tử |
Phan Đình Phùng |
Ngô Quyền |
270 |
20,0 |
Nhà phố |
0,0 |
4,0 |
|
|
57 |
Lâm Văn Thạnh |
Quốc lộ 20 (Km237+600) |
Quốc lộ 20 (Km23 8+700) (UBND phường 11) |
1.930 |
14,0 |
Biệt lập |
4,5 |
3,0 |
|
|
58 |
Lê Hồng Phong |
Trần Phú |
Hẻm dẫn vào trạm y tế |
730 |
20,0 |
Biệt lập |
4,5 |
3,0 |
|
|
Hẻm dẫn vào trạm y tế |
Đến hết thửa số 121 |
20,0 |
Trái: Liên kế có sân vườn |
4,5 |
3,0 |
||||
|
Từ sau thửa số 121 |
Triệu Việt Vương |
20,0 |
Biệt lập |
4,5 |
3,0 |
||||
|
59 |
Lê Lai |
Trần Bình Trọng |
Hoàng Diệu (cổng Đài tưởng niệm Cam Ly) |
1.120 |
16,0 |
Biệt thự |
4,5 |
3,0 |
|
|
60 |
Lê Đại Hành |
Khu Hòa Bình |
Cầu Ông Đạo |
800 |
QHCT |
QHCT |
QH |
QH |
|
|
Cầu Ông Đạo |
Hẻm cạnh NH Công Thương (hẻm thung lũng Kim Khuê) |
30,0 |
Biệt lập |
- |
2,0 |
|
|||
|
Hẻm cạnh NH Công Thương |
Phạm Ngũ Lão |
30,0 |
Nhà phố |
- |
4,0 |
||||
|
Phạm Ngũ Lão |
Trần Phú |
18,0 |
Nhà phố |
0,0 |
3,0 |
||||
|
61 |
Lê Quý Đôn |
Ba Tháng Hai |
Tô Ngọc Vân (suối) |
140 |
12,0 |
Nhà phố |
0,0 |
3,0 |
|
|
62 |
Lê Thánh Tôn |
Nút giao Mai Hắc Đế - Trần Bình Trọng |
Đến hết thửa số 160 |
550 |
16,0 |
Liên kế có sân vườn |
2,4 |
3,0 |
|
|
Từ sau thửa số 160 |
Yết Kiêu |
16,0 |
Biệt lập |
3,0 |
3,0 |
||||
|
63 |
Lê Thị Hồng Gấm |
Trần Quốc Toản |
Đến hết thửa số 138 |
500 |
20,0 |
Biệt lập |
4,5 |
2,0 |
|
|
Từ sau thửa số 138 |
Phan Bội Châu |
20,0 |
Nhà phố |
0,0 |
5,0 |
||||
|
64 |
Lê Thị Riêng |
Xô Viết Nghệ Tĩnh (công ty cổ phần chăn nuôi) |
Nguyễn Siêu |
890 |
10,0 |
Biệt lập |
3,0 |
2,0 |
|
|
65 |
Lê Văn Tám |
Trần Hưng Đạo (phía Khởi Nghĩa Bắc Sơn) |
Trần Hưng Đạo (phía Khe Sanh) |
541 |
10,0 |
Biệt lập |
3,0 |
2,0 |
|
|
66 |
Lữ Gia |
Nguyễn Đình Chiểu |
Cổng Học viện Lục quân |
1.000 |
16,0 |
Biệt lập |
4,5 |
3,0 |
|
|
Lữ Gia |
Cuối đường |
14,0 |
Biệt lập |
3,0 |
3,0 |
||||
|
67 |
Lương Định Của |
Quốc lộ 20 (Km239+800) |
Cầu xóm Hố |
1.260 |
10,0 |
Liên kế có sân vườn |
2,4 |
3,0 |
|
|
Cầu xóm Hổ |
Cuối đường |
10,0 |
Biệt lập |
3,0 |
2,0 |
||||
|
68 |
Lương Thế Vinh |
Hà Huy Tập |
Đến hết thửa số 9 |
355 |
16,0 |
Liên kế có sân vườn |
3,0 |
3,0 |
|
|
Từ sau thửa số 9 |
Trường Lê Quý Đôn |
16,0 |
Biệt lập |
3,0 |
3,0 |
||||
|
69 |
Lý Nam Đế |
Nguyễn Công Trứ |
Đến hết thửa số 127 |
1.170 |
14,0 |
Biệt lập |
3,0 |
3,0 |
|
|
Từ sau thửa số 127 |
Phù Đổng Thiên Vương (cổng KTX Đại học) |
14,0 |
Trái: Biệt lập |
3,0 |
3,0 |
||||
|
70 |
Lý Thường Kiệt |
Nút giao Chi Lăng - Ngô Văn Sở - Mê Linh |
Cuối đường (nhà máy Atisô cũ) |
630 |
10,0 |
Trái: Liên kế có sân vườn |
2,4 |
3,0 |
|
|
71 |
Lý Tự Trọng |
Bùi Thị Xuân |
Đến hết thửa số 4 |
1.272 |
14,0 |
Trái: Liên kế có sân vườn |
3,0 |
3,0 |
|
|
Từ sau thửa số 4 |
Dinh Tỉnh trưởng cũ |
14,0 |
Biệt lập |
3,0 |
3,0 |
||||
|
72 |
Ma Trang Sơn |
Hoàng Diệu |
Hoàng Văn Thụ |
1.000 |
10,0 |
Liên kế có sân vườn |
2,4 |
3,0 |
|
|
73 |
Mẫu Tâm |
Huyền Trân Công Chúa |
Y Dinh |
700 |
10,0 |
Biệt lập |
3,0 |
2,0 |
|
|
74 |
Mai Anh Đào |
Nút giao Phù Đổng Thiên Vương - Thánh Mẫu |
Nguyên Tử Lực |
1.490 |
24,0 |
Biệt lập |
6,0 |
3,0 |
|
|
75 |
Mai Hắc Đế |
Nút giao Lê Thánh Tôn -Trần Bình Trọng |
Nút giao Ngô Quyền - Phạm Ngọc Thạch |
300 |
16,0 |
Liên kế có sân vườn |
2,4 |
3,0 |
|
|
76 |
Mai Xuân Thưởng |
Vạn Hạnh |
Nguyên Tử Lực (ngã tư đập 1 Đa Thiện) |
610 |
14,0 |
Biệt lập |
3,0 |
3,0 |
|
|
77 |
Mạc Đỉnh Chi |
Ba Tháng Hai |
Chung cư Mạc Đỉnh Chi |
1.000 |
12,0 |
Liên kế có sân vườn |
2,4 |
3,0 |
|
|
78 |
Mê Linh |
Nút giao Chi Lăng - Lý Thường Kiệt - Ngô Văn Sở |
Trái: Ngã ba cuối nhánh vòng |
1.650 |
18,0 |
Biệt lập |
4,5 |
3,0 |
|
|
Trái: Ngã ba cuối nhánh vòng |
Nút giao Hồ Xuân Hương - Vòng Lâm Viên - Ngô Gia Tự |
18,0 |
Liên kế có sân vườn |
2,4 |
3,0 |
||||
|
79 |
Mimosa |
Khe Sanh (Thiên Vương Cổ Sát) |
Nút giao Prenn (cầu Prenn cũ) |
9.857 |
27,0 |
Biệt thự |
6,0 |
3,0 |
|
|
80 |
Nam Hồ |
Hùng Vương (QL 20 Km 236+300) |
Hồ Xuân Hương |
1.550 |
16,0 |
Biệt lập |
3,0 |
3,0 |
|
|
81 |
Nam Kỳ Khởi Nghĩa |
Ba Tháng Hai |
Ngã ba Thủ Khoa Huân - Phan Như Thạch |
430 |
15,0 |
Nhà phố |
0,0 |
Trái 4,0; |
|
|
82 |
Ngô Gia Tự |
Nút giao Hồ Xuân Hương - Vòng Lâm Viên - Mê Linh |
Nút giao tỉnh lộ 723 |
1.650 |
24,0 |
Biệt lập |
6,0 |
3,0 |
|
|
83 |
Ngô Huy Diễn |
Trần Bình Trọng (cổng CA tỉnh Lâm Đồng) |
Ngã ba Trần Bình Trọng - Hàn Thuyên |
380 |
10,0 |
Biệt lập |
3,0 |
2,0 |
|
|
84 |
Ngô Quyền |
Nút giao Mai Hắc Đế - Phạm Ngọc Thạch |
Nút giao Bạch Đằng - Cao Thắng - Tô Vĩnh Diện |
1.420 |
16,0 |
Liên kế có sân vườn |
2,4 |
3,0 |
|
|
85 |
Ngô Tất Tố |
Mai Anh Đào |
Trần Quang Khải |
1.170 |
14,0 |
Biệt lập |
3,0 |
3,0 |
|
|
86 |
Ngô Thì Nhậm |
Đồng Tâm |
Ngô Thì Sỹ |
620 |
10,0 |
Liên kế có sân vườn |
2,4 |
3,0 |
|
|
87 |
Ngô Thì Sỹ |
Pasteur |
Ngã ba Ngô Thì Nhậm - Ngô Thì Sỹ |
1.080 |
14,0 |
Biệt lập |
3,0 |
3,0 |
|
|
Nút giao Ngô Thì Nhậm - Ngô Thì Sỹ |
Hết lô A1, cuối khu QH tái định cư Ngô Thì Sỹ |
14,0 |
Trái: Liên kế có sân vườn |
2,4 |
3,0 |
||||
|
Từ sau lô A1, hết khu QH tái định cư Ngô Thì Sỹ |
Huyền Trân Công Chúa |
14,0 |
Biệt lập |
3,0 |
3,0 |
||||
|
88 |
Ngô Văn Sở |
Nút giao Chi Lăng - Mê Linh - Lý Thường Kiệt |
đến cầu (nhà thờ Chi Lăng) |
1.040 |
12,0 |
Trái:
Biệt lập |
3,0 |
3,0 |
|
|
Từ cầu (Nhà thờ Chi Lăng) |
Mê Linh |
12,0 |
Biệt lập |
3,0 |
3,0 |
||||
|
89 |
Nguyễn An Ninh |
Nút giao Ngô Quyền - La Sơn Phu Tử |
Yết Kiêu |
780 |
10,0 |
Biệt lập |
3,0 |
2,0 |
|
|
90 |
Nguyễn Chí Thanh |
Khu Hòa Bình |
Nguyễn Văn Cừ |
620 |
16,0 |
Nhà phố |
0,0 |
Trái: QH |
|
|
91 |
Nguyễn Công Trứ |
Ngã 5 Đại học |
Hẻm cạnh thửa số 100 |
1.100 |
20,0 |
Liên kế có sân vườn |
2,4 |
4,0 |
|
|
Hẻm cạnh thửa số 100 |
Xô Viết Nghệ Tĩnh |
20,0 |
Trải: Liên kế cố sân vườn |
2,4 |
4,0 |
||||
|
92 |
Nguyễn Du |
Quang Trung |
Trần Quý Cáp |
850 |
16,0 |
Biệt lập |
4,5 |
3,0 |
Riêng đoạn từ thửa số 90 đến thửa số 95: Liên kế có sân vườn, khoảng lùi 4,5m, tầng cao 3 tầng |
|
93 |
Nguyễn Hoàng |
Thánh Mẫu |
Ngã ba Châu Văn Liêm - Nguyễn Hoàng |
2.050 |
20,0 |
Trái: Biệt lập |
4,5 |
3,0 |
|
|
94 |
Nguyễn Hữu Cầu |
Thái Phiên (gần chợ Thái Phiên) |
Hẻm sau lưng chợ Thái Phiên |
1.422 |
10,0 |
Nhà phố |
0,0 |
3,0 |
|
|
Hẻm sau lưng chợ Thái Phiên |
Thái Phiên (gần trường Thái Phiên) |
10,0 |
Biệt lập |
3,0 |
2,0 |
||||
|
95 |
Nguyễn Hữu Cảnh |
Phù Đổng Thiên Vương (Công ty may xuất khẩu) |
Phù Đổng Thiên Vương (gần ngã 3 Phù Đổng Thiên Vương - Trần Quang Khải) |
603 |
12,0 |
Biệt lập |
3,0 |
3,0 |
|
|
96 |
Nguyễn Khuyến |
Lê Lai |
Cuối đường (cổng trung tâm đào tạo lái xe) |
110 |
16,0 |
Biệt lập |
4,5 |
3,0 |
|
|
97 |
Nguyễn Lương Bằng |
Phan Đình Phùng |
Đến chung cư 226 |
580 |
7,0 |
Nhà phố |
0,0 |
3,0 |
|
|
Từ sau chung cư 226 |
Trái: Trạm y tế phường 2 |
21,5 |
Trái: Nhà phố |
Trái: 0,0 |
3,0 |
Lệch tâm (trái: 15,0 m; phải 6,5m) |
|||
|
Trái: Trạm y tế phường 2 |
An Dương Vương |
7,0 |
Liên kế có sân vườn |
2,4 |
3,0 |
|
|||
|
98 |
Nguyễn Đình Chiểu |
Ngã ba Sương Nguyệt Anh |
Trải: Đến hết thửa số 95 |
830 |
20,0 |
Biệt lập |
4,5 |
3,0 |
|
|
Trái: Từ sau thửa số 95 |
Ngã tư Phan Chu Trinh |
20,0 |
Liên kế có sân vườn |
2,4 |
3,0 |
||||
|
99 |
Nguyễn Đình Quân |
Hoàng Văn Thụ |
Cuối nghĩa trang cán bộ |
1.080 |
16,0 |
Biệt lập |
3,0 |
3,0 |
|
|
100 |
Nguyễn Phi Ý Lan |
Nhà thờ Thánh Mẫu |
Châu Văn Liêm |
880 |
14,0 |
Biệt lập |
3,0 |
3,0 |
|
|
101 |
Nguyễn Siêu |
Nút giao Xô Viết Nghệ Tĩnh - Thánh Mẫu - Nguyễn Hoàng |
Ngã ba Bạch Đằng |
600 |
20,0 |
Liên kế có sân vườn |
2,4 |
3,0 |
|
|
Ngã ba Bạch Đằng |
Cao Thắng |
20,0 |
Biệt lập |
4,5 |
3,0 |
||||
|
102 |
Nguyễn Thái Bình |
Ngô Gia Tự |
Thái Phiên |
510 |
10,0 |
Biệt lập |
3,0 |
2,0 |
|
|
103 |
Nguyễn Thị Minh Khai |
Nút giao thông cầu Ông Đạo |
Vòng xoay chợ Đà Lạt |
630 |
- |
Theo QHCT |
QH |
QH |
|
|
Vòng xoay chợ Đà Lạt |
Vòng xoay chợ Đà Lạt (đoạn vòng quanh chợ) |
- |
Dãy nhà phố quanh chợ đảm bảo đồng bộ về mặt kiến trúc |
||||||
|
104 |
Nguyễn Thị Nghĩa |
Bùi Thị Xuân (giáp khu công viên văn hóa) |
Nhà I-01 (cuối khu quy hoạch) |
1.000 |
10,0 |
Trái: Nhà phố |
0,0 |
3,0 |
|
|
Từ sau nhà I-01 (cuối khu quy hoạch) |
Đến hết thửa số 21 |
10,0 |
Nhà phố |
0,0 |
3,0 |
Lệch tâm về bên trái 2m (nối tim đường QH với tim đường hiện trạng) |
|||
|
Từ sau thửa số 21 |
Bùi Thị Xuân (kể cả đoạn nhánh cụt) |
10,0 |
Nhà phố |
0,0 |
3,0 |
|
|||
|
105 |
Nguyễn Thị Định |
Ba tháng Hai (cạnh cầu) |
Tô Ngọc Vân (suối) |
180 |
14,0 |
Liên kế có sân vườn |
2,4 |
3,0 |
|
|
106 |
Nguyễn Thượng Hiền |
Lê Thánh Tôn |
Đến hết thửa số 274 |
200 |
14,0 |
Liên kế có sân vườn |
3,0 |
3,0 |
|
|
Từ sau thửa số 274 |
Yết Kiêu |
14,0 |
Biệt lập |
3,0 |
3,0 |
||||
|
107 |
Nguyễn Tử Lực |
Trần Quốc Toản |
Công ty Hasfarm |
3.300 |
20,0 |
Biệt lập |
6,0 |
3,0 |
|
|
Công ty Hasfarm |
Mai Xuân Thưởng |
20,0 |
Liên kế có sân vườn |
2,4 |
3,0 |
||||
|
Mai Xuân Thưởng |
Mai Anh Đào |
20,0 |
Biệt lập |
6,0 |
3,0 |
||||
|
108 |
Nguyễn Trãi |
Yersin |
Trái: Đến hết thửa số 212 |
310 |
20,0 |
Trái: Liên
kế có sân vườn |
2,4 |
3,0 |
Hẻm từ thửa 212 đến thửa 46 |
|
Trải: Từ sau thửa số 212 |
Trái: cổng khu điều dưỡng Đường sắt |
20,0 |
Biệt lập |
4,5 |
3,0 |
||||
|
Cổng khu điều dưỡng đường sắt |
Quang Trung |
700 |
10,0 |
Biệt lập |
3,0 |
2,0 |
|
||
|
109 |
Nguyễn Trung Trực |
Triệu Việt Vương |
Cuối đường (Tịnh xá Ngọc Cảnh) |
390 |
12,0 |
Liên kế có sân vườn |
3,0 |
3,0 |
|
|
110 |
Nguyễn Văn Cừ |
Ba tháng Hai |
cầu Bá Hộ Chúc (cầu Bà Triệu) |
380 |
20,0 |
Nhà phố |
0,0 |
5,0 |
|
|
111 |
Nguyễn Văn Trỗi |
Khu Hòa Bình |
Nhà thờ Tin Lành |
1.150 |
8 đến 11 |
Nhà phố |
0,0 |
3,0 |
|
|
Nhà thờ Tin Lành |
Ngã 3 chùa (phía trường Nguyễn Du) |
16,0 |
Nhà phố |
0,0 |
3,0 |
||||
|
Phan Đình Phùng |
Bùi Thị Xuân |
20,0 |
Nhà phố |
0,0 |
4,0 |
||||
|
112 |
Nguyễn Viết Xuân |
Lê Hồng Phong |
Pasteur |
500 |
14,0 |
Biệt lập |
3,0 |
3,0 |
|
|
113 |
Nhà Chung |
Trần Phú |
UBND phường 3 |
500 |
18,0 |
Nhà phố |
0,0 |
4,0 |
|
|
UBND Phường 3 |
Cuối đường |
16,0 |
Liên kế có sân vườn |
3,0 |
3,0 |
||||
|
114 |
Pasteur |
Trần Phú (Tòa án tỉnh) |
Triệu Việt Vương (Viện Pasteur) |
850 |
20,0 |
Biệt lập |
4,5 |
3,0 |
|
|
115 |
Phạm Hồng Thái |
Yersin |
Nút giao Trần Hưng Đạo - Hùng Vương - Khe Sanh |
900 |
15,0 |
Trái: Biệt lập |
3,0 |
2,0 |
Lệch tâm (trái 5,0m; phải 10,0m) và theo quy hoạch bảo tồn kiến trúc |
|
116 |
Phạm Ngọc Thạch |
Nút giao Hải Thượng - Trần Bình Trọng |
Trung tâm y tế dự phòng (Phòng khám đa khoa cũ) |
850 |
14,0 |
Nhà phố |
0,0 |
3,0 |
|
|
Trung tâm y tế dự phòng (Phòng khám đa khoa cũ) |
Thi Sách |
14,0 |
Liên kế có sân vườn |
2,4 |
3,0 |
||||
|
Thi Sách |
Nút giao Ngô Quyền - Mai Hắc Đế |
14,0 |
Biệt lập |
3,0 |
3,0 |
||||
|
117 |
Phạm Ngũ Lão |
Lê Đại Hành |
Bà Triệu |
450 |
16,0 |
Nhà phố |
0,0 |
4,0 |
|
|
118 |
Phan Bội Châu |
Khu Hòa Bình |
Đà Lạt Center |
550 |
18,0 |
Trái: Nhà phố |
Trái: 0,0 |
Trái: 5,0 |
|
|
Từ Đà Lạt Center |
Đến hết thửa số 121 (Giáp cảnh sát cơ động) |
18,0 |
Nhà phố |
0,0 |
5,0 |
||||
|
Từ sau thửa số 121 (Từ cảnh sát cơ động) |
Đến hết thửa số 11 (cảnh sát cơ động) |
18,0 |
Trái: Nhà phố |
0,0 |
5,0 |
||||
|
Từ sau thửa số 11 (cảnh sát cơ động) |
Bùi Thị Xuân |
18,0 |
Nhà phố |
0,0 |
Trái: 5,0 |
||||
|
119 |
Phan Chu Trinh |
Ngã 4 Phan Chu Trinh |
Trái: Đến hết thửa số 23 |
980 |
20,0 |
Nhà phố |
0,0 |
4,0 |
|
|
Trái: Từ sau thửa số 23 |
Đến hết thửa số 5 |
20,0 |
Biệt lập |
4,5 |
3,0 |
||||
|
Từ sau thửa số 5 |
Nút giao Chi Lăng - Hồ Xuân Hương |
20,0 |
Trái: Liên kế có sân vườn |
2,4 |
3,0 |
||||
|
120 |
Phan Như Thạch |
Nam Kỳ Khởi Nghĩa |
Ngã 3 Thủ Khoa Huân |
450 |
15,0 |
Nhà phố |
0,0 |
4,0 |
|
|
121 |
Phan Đình Giót |
Ngô Quyền |
Cuối đường hiện trạng (theo QH chỉnh trang giao thông, thửa 11) |
930 |
14,0 |
Liên kế có sân vườn |
3,0 |
3,0 |
|
|
122 |
Phan Đình Phùng |
Ba tháng Hai |
Ngã ba Trương Công Định |
1.800 |
18,0 |
Nhà phố |
0,0 |
5,0 |
|
|
Ngã ba Trương Công Định |
Xô Viết Nghệ Tĩnh |
20,0 |
Nhà phố |
0,0 |
5,0 |
||||
|
123 |
Phó Đức Chính |
Quang Trung (báo Lâm Đồng) |
Quang Trung (Bưu chính Lâm Đồng) |
430 |
14,0 |
Biệt lập |
3,0 |
3,0 |
|
|
124 |
Phù Đổng Thiên Vương |
Ngã 5 Đại học |
Trần Khánh Dư |
2.450 |
30,0 |
Liên kế có sân vườn |
2,4 |
5,0 |
|
|
Trần Khánh Dư |
Đến hết thửa số 600 |
30,0 |
Trái: Biệt lập |
6,0 |
3,0 |
||||
|
Từ sau thửa số 600 |
Đến hết thửa số 824 (cạnh Công an phường 8) |
30,0 |
Liên kế có sân vườn |
2,4 |
5,0 |
||||
|
Từ sau thửa số 824 (cạnh Công an phường 8) |
Nút giao Mai Anh Đào - Thánh Mẫu |
30,0 |
Biệt lập |
6,0 |
3,0 |
||||
|
125 |
Quang Trung |
Nguyễn Trãi (Ga Đà Lạt) |
Ngã tư Phan Chu Trinh |
1.350 |
20,0 |
Biệt lập |
4,5 |
3,0 |
|
|
126 |
Quốc lộ 20 |
Ngã 3 Nam Hồ |
Nút giao Tỉnh lộ 723 |
3.700 |
27,0 |
Biệt lập |
6,0 |
3,0 |
|
|
Nút giao Tỉnh lộ 723 |
Chợ rau phường 11 |
27,0 |
Trái: Liên kế có sân vườn |
3,0 |
3,0 |
||||
|
Chợ rau phường 11 |
Trường Trại Mát |
27,0 |
Liên kế có sân vườn |
2,4 |
3,0 |
||||
|
Trường Trại Mát |
Nhà ga Trại Mát |
27,0 |
Nhà phố |
0,0 |
4,0 |
||||
|
Nhà ga Trại Mát |
Trường Nguyễn Đình Chiểu |
27,0 |
Biệt lập |
6,0 |
3,0 |
||||
|
127 |
Sương Nguyệt Ánh |
Trần Quốc Toản (cầu Sắt) |
Nguyễn Đình Chiểu |
520 |
20,0 |
Biệt lập |
4,5 |
3,0 |
|
|
128 |
Tăng Bạt Hổ |
Khu Hòa Bình |
Trương Công Định |
300 |
9,5 |
Nhà phố |
0,0 |
3,0 |
|
|
Tăng Bạt Hổ (nhánh trên) |
Từ thửa số 15 |
Trương Công Định |
9,5 |
Nhà phố |
0,0 |
3,0 |
|||
|
Tăng Bạt Hổ (nhánh dưới) |
Từ thửa số 280 |
Trương Công Định |
8,0 |
Nhà phố |
0,0 |
3,0 |
|||
|
129 |
Tản Đà |
Phan Đình Phùng |
Hai Bà Trưng |
150 |
16,0 |
Nhà phố |
0,0 |
5,0 |
|
|
130 |
Thánh Tâm |
Mẫu Tâm |
Mẫu Tâm (phía nhà thờ Du Sinh) |
600 |
10,0 |
Biệt lập |
3,0 |
2,0 |
|
|
131 |
Thánh Mẫu |
Nút giao Phù Đổng Thiên Vương - Mai Anh Đào |
Nút giao Xô Viết Nghệ Tĩnh - Nguyễn Siêu |
1.740 |
24,0 |
Biệt lập |
4,5 |
3,0 |
|
|
132 |
Thái Phiên |
Ngô Gia Tự |
Hẻm cạnh thửa số 10 (đối diện chùa Thiện Lâm) |
1.830 |
20,0 |
Trái:
Biệt lập |
4,5 |
3,0 |
|
|
Hẻm cạnh thửa số 10 (đối diện chùa Thiện Lâm) |
Đập Thái Phiên |
20,0 |
Biệt lập |
4,5 |
3,0 |
||||
|
133 |
Thi Sách |
Phạm Ngọc Thạch |
Trường Lê Lợi |
950 |
14,0 |
Liên kế có sân vườn |
2,4 |
3,0 |
|
|
Trường Lê Lợi |
Hẻm cạnh thửa số 131 |
14,0 |
Biệt lập |
3,0 |
3,0 |
||||
|
Hẻm cạnh thửa số 131 |
Ngô Quyền |
14,0 |
Liên kế có sân vườn |
3,0 |
3,0 |
||||
|
134 |
Thiện Mỹ |
Nút giao Pasteur - Trần Lê |
Đồng Tâm |
800 |
10,0 |
Biệt lập |
3,0 |
2,0 |
|
|
135 |
Thiện Ý |
Hoàng Văn Thụ |
Cuối đường |
800 |
10,0 |
Trái: Biệt lập |
3,0 |
2,0 |
|
|
136 |
Thông Thiên Học |
Bùi Thị Xuân |
Cổng Tỉnh Đội |
800 |
14,0 |
Trái: Liên kế có sân vườn |
2,4 |
3,0 |
|
|
Cổng Tinh Đội |
Ngã ba An Dương Vương - Cổ Loa |
14,0 |
Liên kế có sân vườn |
2,4 |
3,0 |
||||
|
137 |
Thủ Khoa Huân |
Ba tháng Hai |
Đến hết thửa số 41 |
450 |
14,0 |
Trái: Nhà phố |
0,0 |
4,0 |
|
|
Từ sau thửa số 41 |
Ngã ba Nam Kỳ Khởi nghĩa - Phan Như Thạch |
14,0 |
Trái: Nhà phố |
0,0 |
4,0 |
||||
|
138 |
Tô Hiến Thành |
Nút giao Ba Tháng Tư - Đống Đa |
Đường rẽ vào công ty cổ phần vận tải ô tô Lâm Đồng |
900 |
16,0 |
Trái: Liên kế có sân vườn |
2,4 |
3,0 |
|
|
Đường rẽ vào công ty cổ phần vận tải ô tô Lâm Đồng |
Lô E1 đầu khu dân cư đường Tô Hiến Thành |
16,0 |
Biệt lập |
3,0 |
3,0 |
||||
|
Từ lô E1 đầu khu dân cư đường Tô Hiến Thành |
Lô E23 cuối khu dân cư đường Tô Hiến Thành |
16,0 |
Trái:
Biệt lập |
3,0 |
3,0 |
||||
|
Từ sau Lô E23 cuối khu dân cư đường Tô Hiến Thành |
Đống Đa |
16,0 |
Biệt lập |
3,0 |
3,0 |
||||
|
Tô Hiến Thành (nhánh vào công ty cổ phần vận tải ô tô Lâm Đồng) |
Ngã ba Tô Hiến Thành - Đường Quy hoạch |
Đến hết lô C36 (Cổng công ty CP vận tải ô tô Lâm Đồng) |
560 |
14,0 |
Trái:
Nhà phố |
0,0 |
4,0 |
|
|
|
Từ lô A1 |
Đến hết lô A22 |
14,0 |
Trái: đất công cộng |
0,0 |
4,0 |
||||
|
Từ lô B1 (sau lô A22) |
Đến hết lô B18 |
14,0 |
Trái: đất công cộng |
4,5 |
3,0 |
||||
|
Từ lô C1 (sau 16 B18) |
Đến hết lô C35 (cổng công ty CP vận tải ô tô Lâm Đồng) |
14,0 |
Trái: đất công cộng |
0,0 |
4,0 |
||||
|
139 |
Tô Hiệu nhánh 1 |
Vạn Kiếp |
Thánh Mẫu |
1.950 |
16,0 |
Biệt lập |
3,0 |
3,0 |
|
|
Tô Hiệu nhánh 2 |
Xô Viết Nghệ Tĩnh |
Tô Hiệu |
16,0 |
Biệt lập |
3,0 |
3,0 |
|||
|
140 |
Tô Ngọc Vân |
Nguyễn Thị Định |
Đến hết thửa số 253 |
1.640 |
5,0 |
Nhà phố |
0,0 |
3,0 |
|
|
Từ sau thửa số 253 |
La Sơn Phu Tử |
7,0 |
Nhà phố |
0,0 |
3,0 |
||||
|
141 |
Tô Vĩnh Diện |
Ngô Quyền |
Ngã ba vào khu quy hoạch (cạnh chung cư Bạch Đằng Ngô Quyền) |
1.800 |
17,0 |
Liên kế có sân vườn |
2,4 |
3,0 |
|
|
Ngã ba vào khu quy hoạch (cạnh chung cư Bạch Đằng - Ngô Quyền |
Nút giao Ngô Quyền - Cao Thắng |
17,0 |
Biệt lập |
3,0 |
3,0 |
||||
|
142 |
Tôn Thất Tùng |
Vạn Kiếp (ngã 3 ĐH Yersin) |
Vạn Kiếp (phía Tô Hiệu) |
800 |
16,0 |
Biệt lập |
3,0 |
3,0 |
|
|
143 |
Tương Phố |
Nguyễn Du |
Phó Đức Chính |
224 |
14,0 |
Biệt lập |
3,0 |
3,0 |
|
|
144 |
Trần Anh Tông |
Nguyên Tử Lực (Công ty Hasiarm) |
Cách Mạng Tháng Tám |
886 |
12,0 |
Biệt lập |
3,0 |
3,0 |
|
|
145 |
Trần Bình Trọng |
Nút giao Hải Thượng - Phạm Ngọc Thạch |
Nút giao Trần Bình Trọng - Trần Nhật Duật |
1.050 |
16,0 |
Liên kế có sân vườn |
4,5 |
3,0 |
|
|
Nút giao Trần Bình Trọng - Trần Nhật Duật |
Nút giao Nguyễn Khuyến -Lê Lai |
16,0 |
Biệt thự |
4,5 |
3,0 |
||||
|
146 |
Trần Hưng Đạo |
Trần Phú |
Nút giao Ba Tháng Tư- - Hồ Tùng Mậu |
2.200 |
24,0 |
Biệt thự |
6,0 |
3,0 |
|
|
Nút giao Ba Tháng Tư - Hồ Tùng Mậu |
Khe Sanh |
27,0 |
Biệt thự |
6,0 |
3,0 |
||||
|
147 |
Trần Khánh Dư |
Phù Đổng Thiên Vương |
Đến hết thửa số 822 |
850 |
14,0 |
Trái: Liên kế có sân vườn |
2,4 |
3,0 |
|
|
Từ sau thửa số 822 |
Nút giao Phù Đổng Thiên Vương - Vạn Hạnh |
14,0 |
Biệt lập |
3,0 |
3,0 |
||||
|
148 |
Trần Đại Nghĩa |
Mai Xuân Thưởng |
Mai Anh Đào |
1.370 |
10,0 |
Biệt lập |
3,0 |
2,0 |
|
|
149 |
Trần Lê |
Nút giao Hoàng Văn Thụ - Trần Phú - Ba Tháng Hai |
Đến hết lô A9 |
450 |
20,0 |
Liên kế có sân vườn |
3,0 |
3,0 |
|
|
Từ lô A10 |
Đến hết lô A12 |
20,0 |
Liên kế có sân vườn |
2,0 |
3,0 |
||||
|
Từ lô A13 |
Đến hết lô A15 |
20,0 |
Liên kế có sân vườn |
4,0 |
3,0 |
||||
|
Từ lô A16 |
Đến hết lô A27 |
20,0 |
Liên kế có sân vườn |
5,0 |
3,0 |
||||
|
Từ sau lô A27 |
Pasteur |
20,0 |
Liên kế có sân vườn |
2,4 |
3,0 |
||||
|
150 |
Trần Nhân Tông |
Ngã 5 Đại học |
Trần Quốc Toản |
1.000 |
20,0 |
Biệt thự |
6,0 |
3,0 |
|
|
151 |
Trần Nhật Duật |
Hoàng Diệu |
Trần Bình Trọng |
600 |
10,0 |
Liên kế có sân vườn |
2,4 |
3,0 |
|
|
152 |
Trần Phú |
Hà Huy Tập |
Bà Triệu |
1.500 |
24,0 |
Biệt lập |
6,0 |
3,0 |
Riêng bên trái từ Cty KD&PT nhà đến Đào Duy Từ: Nhà liên kế: khoảng lùi 0,0m; 3 tầng |
|
Bà Triệu |
Khu Hành chính tập trung tỉnh Lâm Đồng |
24,0 |
Biệt lập |
Trái: 6,0 |
3,0 |
|
|||
|
Khu Hành chính tập trung tỉnh Lâm Đồng |
Nhà thờ Thánh Tâm |
24,0 |
Biệt lập |
6,0 |
3,0 |
|
|||
|
Nhà thờ Thánh Tâm |
Nút giao Ba Tháng Hai - Trần Lê - Hoàng Văn Thụ |
24,0 |
Liên kế có sân vườn |
3,0 |
3,0 |
|
|||
|
153 |
Trần Quang Diệu |
Hoàng Hoa Thám |
Khu dân cư Dinh 1 |
800 |
16,0 |
Biệt thự |
4,5 |
3,0 |
|
|
154 |
Trần Quang Khải |
Phù Đổng Thiên Vương (trạm y tế phường 8) |
Ngã ba Phù Đổng Thiên Vương - Nguyễn Hữu Cảnh |
1.100 |
14,0 |
Biệt lập |
3,0 |
3,0 |
|
|
155 |
Trần Quý Cáp |
Ngã 4 Phan Chu Trinh |
Trái: Đến hết thửa số 22 |
300 |
20,0 |
Trái: TT thương mại |
- |
- |
|
|
Trái: Từ sau thửa số 22 |
Cầu Trần Quý Cáp |
20,0 |
Liên kế có sân vườn |
Trái: 6,0 |
4,0 |
||||
|
Cầu Trần Quý Cáp |
Hùng Vương |
|
20,0 |
Biệt lập |
4,5 |
3,0 |
|||
|
156 |
Trần Quốc Toản |
Lê Đại Hành |
Bùi Thị Xuân |
4.780 |
20,0 |
Biệt thự |
6,0 |
2,0 |
|
|
Bùi Thị Xuân |
Nút giao Ánh Sáng - Nguyễn Thị Minh Khai - Lê Đại Hành |
24,0 |
Biệt thự |
6,0 |
2,0 |
||||
|
157 |
Trần Thái Tông |
Hùng Vương (cổng Bảo Đại) |
Cuối đường |
3.000 |
14,0 |
Biệt lập |
3,0 |
3,0 |
|
|
158 |
Trần Thánh Tông |
Cầu An Bình |
Thiền Viện Trúc Lâm |
2.760 |
20,0 |
Biệt lập |
6,0 |
3,0 |
|
|
159 |
Trần Văn Côi |
Hoàng Văn Thụ (dốc Vạn Thành) |
Ankroet |
5.032 |
20,0 |
Biệt lập |
6,0 |
3,0 |
|
|
160 |
Trạng Trình |
Trần Quốc Toản (cầu Sắt) |
Nguyễn Đình Chiểu |
960 |
12,0 |
Biệt lập |
3,0 |
3,0 |
|
|
161 |
Triệu Việt Vương |
Pasteur (viện Pasteur) |
Trần Thánh Tông (cầu An Bình) |
2.520 |
20,0 |
Biệt lập |
4,5 |
3,0 |
|
|
162 |
Trịnh Hoài Đúc |
Nam Hồ |
Cuối đường |
1.320 |
10,0 |
Biệt lập |
3,0 |
2,0 |
|
|
163 |
Trương Công Định |
Khu Hòa Bình |
Phan Đình Phùng |
280 |
10 đến 12 |
Nhà phố |
0,0 |
3,0 |
Lộ giới theo ranh đất hợp pháp hiện trạng |
|
164 |
Trương Văn Hoàn |
Mê Linh |
Cuối đường |
560 |
14,0 |
Biệt lập |
3,0 |
3,0 |
|
|
165 |
Trúc Lâm Yên Tử |
Đường đèo Prenn |
Thiên viện Trúc Lâm |
2.000 |
20,0 |
Không xây dựng nhà ở tư nhân |
|
||
|
166 |
Vạn Hạnh |
Nút giao Trần Khánh Dư - Phù Đổng Thiên Vương |
Đến hết thửa số 306 |
1.500 |
14,0 |
Trái: Biệt lập |
3,0 |
3,0 |
|
|
Từ sau thửa số 306 |
Phù Đổng Thiên Vương (Trạm y tế phường 8) |
14,0 |
Biệt lập |
3,0 |
3,0 |
||||
|
167 |
Vạn Kiếp |
Xô Viết Nghệ Tĩnh |
Phù Đổng Thiên Vương |
1.840 |
16,0 |
Biệt lập |
3,0 |
3,0 |
|
|
168 |
Võ Thị Sáu |
Lý Tự Trọng |
Bùi Thị Xuân |
280 |
10,0 |
Nhà phố |
0,0 |
3,0 |
|
|
169 |
Võ Trường Toản |
Phù Đổng Thiên Vương |
Nguyên Tử Lực (cổng công ty Hasfarm) |
1.380 |
10,0 |
Biệt lập |
3,0 |
2,0 |
|
|
170 |
Vòng Lâm Viên |
Mê Linh |
Mai Anh Đào |
3.700 |
24,0 |
Biệt lập |
6,0 |
3,0 |
|
|
171 |
Xô Viết Nghệ Tĩnh |
Nút giao Phan Đình Phùng - La Sơn Phu Tử |
Thánh Thất Cao Đài |
3.400 |
20,0 |
Biệt lập |
4,5 |
3.0 |
|
|
Thánh Thất Cao Đài |
Nút giao Xô Viết Nghệ Tĩnh - Nguyễn Siêu - Thánh Mẫu |
20,0 |
Liên kế có sân vườn |
4,5 |
3,0 |
||||
|
Nút giao Xô Viết Nghệ Tĩnh - Nguyễn Siêu - Thánh Mẫu |
Lê Thị Riêng |
20,0 |
Liên kế có sân vườn |
Trái: 2,0 |
3,0 |
||||
|
Lê Thị Riêng |
Nút giao Ankroet - Đankia |
20,0 |
Biệt lập |
4,5 |
3,0 |
||||
|
172 |
Y Dinh |
An Tôn |
Huyền Trân Công Chúa |
900 |
24,0 |
Biệt lập |
4,5 |
3,0 |
|
|
173 |
Yagout |
Hoàng Diệu |
Đến hết thửa số 338 |
400 |
14,0 |
Trái: Biệt lập |
3,0 |
3,0 |
|
|
Từ sau thửa số 338 |
Trần Bình Trọng |
14,0 |
Biệt lập |
3,0 |
3,0 |
||||
|
174 |
Yên Thế |
Hùng Vương |
Cuối đường |
350 |
16,0 |
Biệt thự |
3,0 |
3,0 |
|
|
175 |
Yết Kiêu |
Trần Bình Trọng |
Cuối đường |
1.300 |
16,0 |
Biệt lập |
3,0 |
3,0 |
|
|
176 |
Yersin |
Trần Quốc Toản (Nút giao nhà nghỉ Công đoàn) |
Trái: Đến hết thửa số 319 |
1.900 |
20,0 |
Trái: Biệt lập |
6,0 |
3,0 |
|
|
Trái: Từ sau thửa số 319 |
Trái: Hẻm thứ 1 (giáp thửa số
314) |
20,0 |
Trái: Liên
kế có sân vườn |
3 đến 4 |
3,0 |
||||
|
Trái: Hẻm thứ 1(giáp thửa số 314) |
Hẻm thứ 2 (giáp thửa số 312) |
20,0 |
Trái: Biệt lập |
4,5 |
3,0 |
||||
|
Hẻm thứ 2 (giáp thửa số 312) |
Hẻm cạnh trường Mầm non 10 |
20,0 |
Liên kế có sân vườn |
2,4 |
3,0 |
||||
|
Hẻm cạnh trường Mầm non 10 |
Cổng Trường Cao đẳng Sư phạm Đà Lạt |
20,0 |
Biệt lập |
4,5 |
3,0 |
||||
|
Cổng Trường Cao đẳng Sư phạm Đà Lạt |
Cuối sân bóng trường Cao đẳng Sư phạm Đà Lạt |
16,0 |
Biệt lập |
4,5 |
3,0 |
||||
|
Cuối sân bóng trường Cao đẳng Sư phạm Đà Lạt |
Nguyễn Đình Chiểu |
14,0 |
Biệt lập |
3,0 |
3,0 |
||||
|
177 |
Đèo Prenn |
Nút giao Ba Tháng Tư - Đống Đa |
Cầu Prenn mới |
10.500 |
27,0 |
không xây dựng nhà ở tư nhân |
|
||
Ghi chú: số thửa đất trong bảng là số thửa ghi trong bản đồ giải thửa do Liên đoàn trắc địa đo vẽ năm 1996 và Sở Địa chính Lâm Đồng kiểm tra năm 1997
PHỤ LỤC 2
QUY ĐỊNH CAO TRÌNH NỀN TẦNG TRỆT, TẦNG
HẦM VÀ BÁN HẦM
(Ban hành kèm theo quyết định số 36/2015/QĐ-UBND ngày 27/4/2015 của Ủy ban
Nhân dân tỉnh Lâm Đồng

Hình 01

Hình 02

Hình 03

Hình 04

Hình 05

Hình 06

Hình 07

Hình 08